Huracán "Willa" alcanza categoría 5
Los pronósticos del Centro Nacional de Huracanes de EE.UU., fuente oficial de pronóstico de ciclones tropicales en nuestra región, indican que “Willa” podría impactar las costas de Nayarit y Sinaloa desde mañana.

El huracán “Wilma” se intensificó a un potencialmente catastrófico huracán categoría 5 en la escala Saffir-Simpson, amenazando de una manera seria las costas occidentales de nuestro país con lluvias torrenciales, vientos huracanados y oleaje elevado.
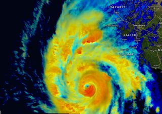
El huracán “Willa” se localizaba en 19.1 Norte, 107.2 Oeste, aproximadamente a 215 kilómetros al sur-suroeste de Cabo Corrientes. Jalisco. Registraba vientos máximos de hasta 260km/h y una presión mínima central de 925 hectopascales, siendo un huracán categoría 5 en la escala Saffir-Simpson. Se movía al norte a 11km/h.
Los pronósticos del Centro Nacional de Huracanes de EE.UU., fuente oficial de pronóstico de ciclones tropicales en nuestra región, indican que “Willa” se moverá en las próximas horas hacia el nor-noreste, pasando cerca de las islas Marías, y su centro podría alcanzar las costas de Nayarit y Sinaloa entre la noche del martes o madrugada del miércoles.
Se prevé que “Willa” favorezca vientos huracanados, de cerca de 200km/h o más, en la zona costera de Nayarit y costa sur de Sinaloa, así como vientos con fuerza de tormenta tropical en la costa norte de Jalisco. El oleaje en toda la franja costera por donde pasará este huracán, podría alcanzar o superar los 6 metros de altura, condición altamente peligrosa y destructiva.
Los acumulados máximos de lluvia pronosticados por son de más de 100mm por día, particularmente en los estados de Nayarit, Sinaloa y Durango, mientras que en la parte norte de Jalisco se podrian dar lluvias intensas (de 75 a 100mm por día)
Es recomendable que la población de Nayarit, Sinaloa y Jalisco este alerta de los avisos emitidos por las autoridades de protección civil correspondientes, debido a que “Willa” podría generar inundaciones y grandes daños en estas entidades federativas por las torrenciales lluvias, así como por los vientos huracanados y marea de tormenta destructiva que dejará a su paso.

“Vicente” afectará como depresión tropical
Por otra parte, la tormenta tropical “Vicente” podría impactar el área de Michoacán y Colima mañana por la tarde degradada a depresión tropical, aunque va a propiciar lluvias torrenciales (más de 100mm por día) en Michoacan y Colima, así como lluvias intensas (75 a 100mm por día) en Guerrero y Jalisco. También favorecería vientos de hasta 60km/h en las costas de dichos estados.