"Willa" impactará hoy Nayarit y Sinaloa
Al final de la tarde o por la noche, el huracán "Willa" tocará tierra en las costas de Nayarit y Sinaloa, generando lluvias torrenciales, vientos huracanados y marea de tormenta. Se recomienda estar al tanto de las alteras emitidas por protección civil.

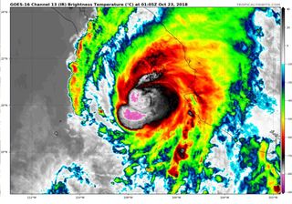
El huracán “Willa” perdió intensidad en las últimas horas, y después de haber alcanzado la máxima categoría de huracán, actualmente se ubica en el tercer nivel de la escala Saffir-Simpson. En el transcurso del día de hoy tocaría tierra en el occidente de México.
“Willa” se localizaba en 21.4 Norte, 106.9 Oeste, aproximadamente a 55 kilómetros al oeste-suroeste de las islas Marías, Nayarit. Registraba vientos máximos de hasta 205km/h y una presión mínima central de 966 hectopascales, siendo un huracán categoría 3 en la escala Saffir-Simpson. Se movía al nor-noreste a 9km/h.
El Centro Nacional de Huracanes de EE.UU., organismo oficial de pronóstico de ciclones tropicales en nuestra región, señala que “Willa” se moverá en la próximas horas al noreste e impactará las costas de Nayarit y costa sur de Sinaloa al final de la tarde o por la noche, posiblemente con vientos huracanados superiores a los 120km/h. “Willa” podría seguir perdiendo intensidad antes de tocar tierra.
Se prevé que “Willa” favorezca lluvias torrenciales (más de 100mm por día) desde hoy en los estados de Nayarit, Sinaloa y Durango, así como lluvias intensas (75 a 100mm por día) en Zacatecas y Jalisco. Los vientos huracanados de más de 120km/h se sentirán principalmente en zonas costeras de Nayarit, sur de Sinaloa y noroeste de Jalisco, además de que el oleaje podría alcanzar desde hoy hasta 6 metros de altura.
Se recomienda a la población de Nayarit, Sinaloa y Jalisco mantenerse alertas y pendientes de los avisos emitidos por las autoridades de protección civil por la probabilidad de importantes inundaciones y daños considerables, a consecuencias de las torrenciales lluvias, vientos huracanados y marea de tormenta.

Se degrada “Vicente” a baja remanente
La tormenta tropical “Vicente” tocó tierra muy debilitada en Michoacán, y actualmente está en proceso de disipación como una baja presión remanente. Sin embargo, favorecerá el día de hoy lluvias torrenciales (mas de 100mm por día) en los estados de Michoacán, Colima y Jalisco. Se recomienda tomar precauciones por posibles encharcamientos significativos o incluso inundaciones.