Día Meteorológico Mundial 2026: por qué urge la inversión en radares y sensores de hidrometría en México
Este 23 de marzo, Día Meteorológico Mundial 2026, es un recordatorio de que la falta de inversión en radares y estaciones hidrométricas, nos deja vulnerables ante eventos como el huracán Otis o las inundaciones en la Huasteca veracruzana.

El Día Meteorológico Mundial 2026, celebrado este 23 de marzo, se presenta bajo el lema "Observa hoy, protege mañana". Esta consigna no es solo un llamado a la contemplación de los fenómenos atmosféricos, sino una urgencia operativa para todas las naciones.
La meteorología moderna ha dejado de ser una disciplina puramente descriptiva para convertirse en el pilar fundamental de la gestión de riesgos y la seguridad nacional. En un mundo donde la crisis climática acelera la intensidad de los fenómenos meteorológicos extremos, la capacidad de observar con precisión el presente es una de las garantías para diseñar un futuro resiliente.
"Otis" y las inundaciones en la Huasteca oriental, ponen en evidencia la falta datos confiables
En el contexto de México, este lema adquiere una relevancia crítica debido a nuestra compleja orografía y exposición a dos océanos. La observación meteorológica en el país enfrenta un desafío estructural: la necesidad urgente de modernizar y expandir su red de estaciones automáticas, radares y sistemas de radiosondeo.
Sin una infraestructura robusta que actúe como los "ojos" del Servicio Meteorológico Nacional, la interpretación de los modelos numéricos pierde exactitud, dejando a poblaciones enteras en una vulnerabilidad que la tecnología actual ya debería ser capaz de mitigar.

La historia reciente nos ha dado lecciones dolorosas sobre las consecuencias de las brechas en la observación. La catástrofe en la Huasteca oriental, marcada por muertes tras las inundaciones repentinas y deslaves que desbordaron cualquier previsión local, evidenció que las redes de monitoreo en cuencas altas siguen siendo insuficientes.

Cuando el flujo de datos en tiempo real es fragmentado, la capacidad de emitir alertas tempranas con tiempo de ventaja se reduce drásticamente, transformando un fenómeno natural en una tragedia humana y económica que tarda décadas en repararse.
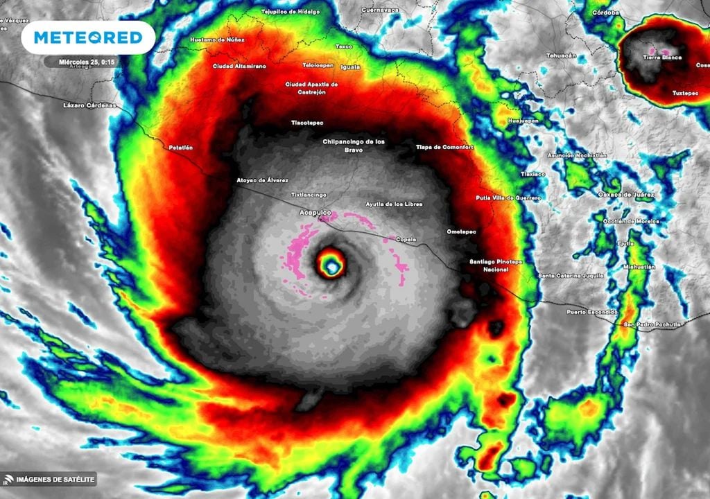
"Otis" marcado por la falta de información meteorológica
La rápida e inesperada intensificación de Otis antes de impactar Acapulco, Guerrero subrayó que, aunque los modelos globales son avanzados, México requiere boyas oceánicas, aviones cazahuracanes y radares meteorológicos de última generación con mantenimiento constante.

La falta de datos in situ sobre la temperatura profunda del océano y la estructura del viento en niveles bajos impidió anticipar con mayor precisión la furia con la que el sistema golpearía la costa guerrerense.
Invertir en infraestructura meteorológica no debe verse como un gasto administrativo, sino como una inversión en infraestructura de vida. Cada radar Doppler instalado y cada estación hidrometeorológica calibrada representa una reducción directa en el costo de los desastres.
En México, la disparidad tecnológica entre regiones hace que estados del Sur y comunidades rurales queden "a ciegas" ante tormentas locales que, aunque pequeñas en escala, son devastadoras para la agricultura y la vivienda precaria, perpetuando ciclos de pobreza ligados al estado del tiempo local.
La protección del mañana, como dicta el lema de este 2026, exige que la observación sea democrática y continua. Resulta imperativo que el presupuesto nacional priorice la soberanía tecnológica en materia ambiental, permitiendo que el SMN no solo dependa de satélites extranjeros, sino que cuente con una malla de sensores terrestres tan densa que ningún fenómeno pase desapercibido.
Además de los fierros y sensores, la inversión debe alcanzar al capital humano y a la integración de sistemas de inteligencia artificial para el procesamiento de datos masivos. La "observación" del siglo XXI implica integrar lecturas de satélite con datos de radares locales para generar pronósticos de "nowcasting" o muy corto plazo.
Esto es vital en ciudades densamente pobladas y zonas turísticas donde minutos de diferencia en una alerta pueden significar la salvación de miles de vidas ante inundaciones súbitas o rachas de viento destructivas.
Ser meteorólogo mexicano, es procurar la vida de los mexicanos
Este 23 de marzo debe servir para que la sociedad y el gobierno mexicano reconozcan que la naturaleza y su sistema atmosférico, gracias a la influencia antropogénica ya no son los mismos de hace tres décadas.

Los eventos extremos como las mortíferas inundaciones en la Huasteca y "Otis" no son anomalías aisladas, sino los nuevos estándares de intensidad. "Observa hoy, protege mañana" es una promesa que México solo podrá cumplir si decide, de una vez por todas, blindar su sistema meteorológico con la inversión que la realidad meteorológica y climática exigen.
La especialistas ya estamos listos; solo falta que la infraestructura esté a la altura del desafíos para que la próxima tormentas no nos encuentre con los ojos cerrados.