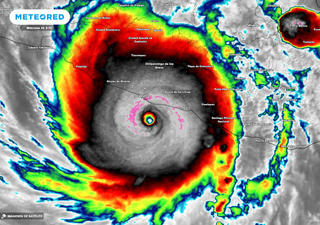
“Otis" bate récords: al intensificase rápidamente y golpear las costas de Guerrero como huracán mayor de categoría 5
Los daños al sistema de telecomunicaciones por el impacto de las rachas de vientos huracanados de más de 300 km/h, dejaron incomunicados y a más de 500 mil personas sin luz eléctrica en Acapulco y sus alrededores.

"Otis" hace historia después de que incrementó su fuerza de tormenta tropical a huracán de categoría 5 en apenas unas horas, rompiendo récords de rápida intensificación.
Actualmente el equipo de expertos en meteorología en Meteored estamos estudiando e investigando cuáles pudieron ser las principales causas para que "Otis" inesperadamente pasará de leve a explosivo en un tiempo récord.
Aunque pasarán semanas antes de que se calcule el número final de daños y muertes por “Otis”, a medida que avanzó, pudimos discutir varios puntos de referencia clave, ente los cuales figura saber porque este ciclón se convirtió en el huracán más poderoso registrado en tocar tierra a lo largo de la costa oeste de México.
Fue a las 00:25 horas tiempo local (05:25 GMT), que el huracán mayor Otis impacto en tierra en las inmediaciones del municipio de Acapulco de Juárez, Guerrero, con vientos máximos sostenidos de 270 km/h, rachas de 330 km/h y desplazamiento a 17 km/h al nor-noroeste.
#CFEInforma | La CFE intensifica actividades de restablecimiento en el estado de Guerrero ante los graves daños en la infraestructura eléctrica provocados por el huracán Otis.
— CFEmx (@CFEmx) October 26, 2023
Se avanza con los trabajos de reparación de daños y rehabilitación de la red de media y baja tensión; pic.twitter.com/xeGQUn35nt
"Otis" se intensificó a un nivel casi sin precedentes
Al pasar de tormenta tropical a huracán de categoría 5 en un rango aproximado de 12 horas, con vientos sostenidos que aumentaron a 270 km/h en ese tiempo, de acuerdo con estimaciones preliminares de la NOAA.
"Otis" se intensificó rápidamente en circunstancias ideales, con agua de mar muy cálida en un área con poca o ninguna cizalladura del viento. Siendo muy similar a otro huracán que se desarrolló hace casi ocho años en costas del estado de Colima, localizado también al oeste de México.
El huracán Patricia estableció un nuevo récord histórico, el 23 de octubre de 2015, como el huracán más fuerte del hemisferio occidental. Patricia se intensificó rápidamente de tormenta tropical a huracán de categoría 5 en sólo 24 horas. En solo un día, sus vientos sostenidos aumentaron 345 km/h, una de las tasas de intensificación de huracanes más rápidas del mundo.
Los vientos sostenidos más altos de Patricia fueron de 345 km/h con una presión mínima central de 872 milibares. La presión del aire generalmente se considera una medida más precisa de la intensidad de un huracán. Cuanto menor es la presión del aire, más fuerte es la tormenta.
Afortunadamente, Patricia se debilitó durante un ciclo de reemplazo de la pared del ojo y un aumento de la cizalladura del viento antes de tocar tierra en la costa oeste de México. Patricia era un huracán de categoría 4 de alto nivel con vientos sostenidos de 240 km/h en el momento de tocar tierra.


La fase del El Niño estuvo presente durante Otis y Patricia
Este patrón climático, tiene relación con un fenómeno natural caracterizado por la fluctuación de las temperaturas del océano en la parte central y oriental del Pacífico ecuatorial asociado a cambios en la atmósfera, según la Organización Meteorológica Mundial (OMM).
Por lo que es evidente, como antecedente, que esta fase facilito que las condiciones fueran las más favorables para el desarrollo de los potentes ciclones tropicales "Otis" y “Patricia" en el Pacífico mexicano.
El papel del Cambio Climático
De acuerdo con la NOAA, “el calentamiento climático inducido por los gases de efecto invernadero también puede haber contribuido a los cambios de los huracanes en el Atlántico posteriores a 1980, incluido el aumento observado en la rápida intensificación, que un estudio de modelización vincula en parte con el forzamiento antropogénico dominado por los gases contaminantes”.
Pronósticos de intensidad de los huracanes necesitan ser más estudiados
Los meteorólogos y los científicos atmosféricos, creemos en que los pronósticos de la intensidad de los huracanes necesitan investigación adicional para ser más precisos en el futuro, ya que no se esperaba que “Otis" ni "Patricia" se intensificaran tan rápidamente como lo hicieron. Esto es especialmente importante porque es necesario evacuar a más personas por un huracán intenso que toca tierra en zonas vulnerables, que por una tormenta tropical que es menos intensa.
SISMO Magnitud 5.0 Loc 28 km al SUROESTE de ZIHUATANEJO, GRO 25/10/23 11:06:16 Lat 17.52 Lon -101.78 Pf 5 km pic.twitter.com/yqemF7rmOF
— Sismologico Nacional (@SismologicoMX) October 25, 2023
Reportan sismo en Guerrero tras paso del huracán Otis
Otra de las peculiaridades durante el impacto sin precedente del huracán mayor Otis, que provocó que se desconectaran los sensores sísmicos en Guerrero, una vez que se restablecieron arrojaron el reporte de un sismo de modera intensidad que sacudió al estado.
Fue durante mañana de este miércoles se registró un sismo de magnitud 4.4 en Zihuatanejo, Guerrero, en parte del area donde donde durante la madrugada de este mismo día pasó el huracán mayor Otis. Fue el Sismológico Nacional el que inicialmente reportó un temblor y si bien es una zona comúnmente telúrica, causo cierta revuelo al coincidir con la presencia de Otis en la región.