‘Grace’ ocasiona severos daños en la República Mexicana
A las 16:00 horas del reciente sábado 21 de agosto, el Centro Nacional de Huracanes de los Estados Unidos confirmó que el ciclón tropical se había disipado. Sin embargo, cuantiosos daños materiales y pérdida de vidas humanas sucedieron.

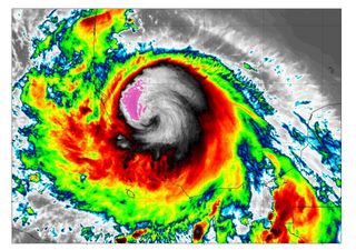
Puntualmente te hemos informado en nuestra sección de predicción sobre el desplazamiento de este imponente ciclón tropical. Debido a su gran tamaño, fuerza y desplazamiento, impactó en dos ocasiones sobre la República Mexicana. En su oportunidad, Pamela García. Juan Antonio Palma, José Martín Cortés y Martha Llanos han dado marcaje personal en su evolución y posibles efectos.
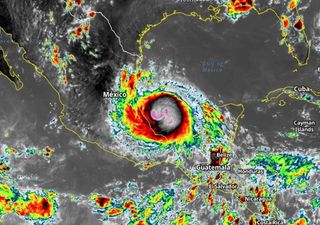
Las torrenciales lluvias generadas por este ciclón tropical ocasionaron severas inundaciones en Xalapa, capital del estado de Veracruz. En esta ciudad, las avenidas, calles, colonias y hasta plazas comerciales quedaron sumergidas bajo el agua. En un lapso menor a 24 horas, ‘Grace’ tocó tierra sobre territorio mexicano como categoría 3 y próximo a la Ciudad de México se debilitó a baja presión remanente.
Calor extremo: por qué se siguen batiendo récords
Sobre el estado de Veracruz, las autoridades confirmaron el fallecimiento de nueve personas además de severas inundaciones y daños. Anticipándose a lo que pudiera ocurrir, previo al intenso temporal, las autoridades confirmaron oportunamente la posibilidad de riesgo de deslaves e inundaciones. Fuentes policiales confirmaron que las precipitaciones reblandecieron la tierra.
Precisamente los deslizamientos de tierra fueron el origen de la muerte de los ciudadanos. En la capital jarocha, los aludes sepultaron viviendas al pie de las montañas, que provocaron la muerte de 7 personas, además de la desaparición de otras tres. En relación a esto, otra persona perdió la vida en el municipio de Poza Rica, y una más lamentablemente murió en el estado de Puebla.
VERACRUZ | GRACE DEJA OCHO MUERTOS
— Mítico Arce ️️ (@MiticoArce) August 21, 2021
Hay 22 municipios en declaratoria de emergencia. Poza Rica, Xalapa, Las Vigas, Papantla y El Espinal, además de la sierra del Totonacapan. ¿Y LOS 47 MIL MILLONES DE PESOS DEL FONDEN? https://t.co/bXzgP8vK6F pic.twitter.com/S8fMplSTzU
Daños también en Puebla
El impresionante meteoro ocasionó fuertes lluvias en la serranía del norte del estado de Puebla. Trascendió que en el municipio de Huauchinango, un hombre de 42 años de edad lamentablemente murió a consecuencia de la caída de un árbol. En un lapso menor a 24 horas, ‘Grace’ tocó tierra sobre las cosas de Veracruz terminando por degradarse cercano a la Ciudad de México.
Conforme a la información que en su momento comunicó el Centro Nacional de Huracanes de los Estados Unidos, a las 0:30 horas del sábado tocó tierra por el municipio de Tecolutla, Veracruz como huracán categoría 3. Para las 10:00 h. ya era una tormenta tropical, previamente transitando sobre el estado de Hidalgo como huracán categoría 1, para posteriormente ubicarse en el Estado de México como baja remanente.
Gran corriente de agua se presenta en la huasteca hidalguense tras el paso del huracán #Grace https://t.co/KkIygW5rgv
— ️Meteorología México️ (@InfoMeteoro) August 21, 2021
Lluvia durante todo el día
Autoridades de la Ciudad de México declararon que durante todo el día sábado se pronosticaron fuertes precipitaciones y la ocurrencia de intensos vientos, por lo cual instaron a la población a tomas las debidas medidas de precaución. Además, se esperaban también lluvias intensas en Hidalgo, Jalisco, Oaxaca, Querétaro y Tlaxcala.
En su oportunidad, te informamos que éste fue el primer ciclón tropical durante este 2021 en la cuenca del Atlántico que impactó en territorio mexicano. Hay que recordar que climatológicamente hablando, el mes de agosto es uno de los meses en que con mayor frecuencia ocurre este tipo de eventos hidrometeorológicos y por ello el impacto en tierra.