Ian amenaza a Cuba y al estado de Florida
Septiembre mostró sus músculos, el viernes 23 fue la primera vez que se tuvo cuatro ciclones tropicales activos de manera simultánea desde que inició la actual temporada ciclónica 2022 en el Atlántico, uno de ellos, la actual tormenta tropical Ian amenaza con impactar como huracán a Cuba y al estado de Florida.

Septiembre mostró sus músculos, el viernes 23 fue la primera vez que se tuvo cuatro ciclones tropicales activos de manera simultánea desde que inició la actual temporada ciclónica 2022 en el Atlántico: el huracán Fiona, las tormentas Gaston y Hermine, y la depresión Nueve.
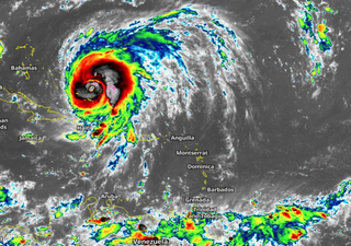
Actualmente Fiona es un ciclón extratropical al oeste de la isla de Terranova, Gastón se localiza en las inmediaciones de las islas Azores y Hermine al noreste de las islas Canarias. En tanto, la depresión tropical Nueve evolucionó a la tormenta tropical Ian en el mar Caribe, por su localización y posible trayectoria se mantiene una estrecha vigilancia desde la región caribeña hasta la península de Florida en Estados Unidos.
Inicialmente se manejó que la depresión tropical Nueve se convirtiera en la tormenta Hermine, esto generó algo de confusión porque la tormenta Hermine finalmente se formó pero a partir de la depresión Diez localizada en las inmediaciones de las islas Canarias. El nombre que seguía en la lista después de Hermine es Ian.
Ian ha tenido que enfrentar un ambiente hostil en el mar Caribe desde su inicio como depresión tropical, sobre todo por la presencia de vientos fuertes del noreste que separaban las áreas de tormenta del centro de circulación en superficie, esto se conoce en meteorología como cizalladura y es un factor limitante en el desarrollo de un ciclón tropical. Estos vientos cizallantes han empezado a disminuir y permitirán su intensificación.
Tormenta tropical #Ian sería una gran amenaza. Juan Antonio Palma (@climayucatan), coordinador de Meteored México te informa.https://t.co/Hhlznq40ns
— Meteored.mx (@meteoredmx) September 24, 2022
Un factor muy favorable para el fortalecimiento de Ian es la temperatura que tiene el mar Caribe, actualmente estas aguas son las más cálidas del Atlántico tropical. En puntos al sur de Cuba hay temperaturas de hasta 31 °C, por lo tanto, hay mucho combustible para Ian, que de poderlo extraer nos podría dejar sorpresas, como una rápida intensificación, esto último no se puede descartar.
El último informe del Centro Nacional de Huracanes de Estados Unidos localizó el centro de Ian a 435 kilómetros al sursureste de Kingston, Jamaica, sus vientos son de 75 kilómetros por hora y se desplaza al oeste a 24 kilómetros por hora. Este movimiento al oeste cambiará en las próximas horas, y cuánto más tarde en hacerlo determinará mucho en su futura trayectoria.
¿Qué podemos esperar de la trayectoria e intensidad de Ian?
Como mencioné, Ian hará un cambio en su dirección de desplazamiento, del oeste al noroeste y luego al norte. Estos cambios en la dirección son captados por los modelos meteorológicos pero con mucha incertidumbre, por tal razón el seguimiento que hacen los meteorólogos operativos es crucial para precisar puntos donde tocará tierra, primero en Cuba y luego en Estados Unidos.
Hablemos de escenarios hasta el momento
Respecto a la trayectoria, Ian debe comenzar un movimiento más al noroeste el domingo, esto provocará que impacte en la porción más occidental de Cuba como un huracán categoría 2 entre la noche del lunes o la madrugada del martes, no se puede descartar una intensidad superior. Luego de cruzar tendrá un movimiento al norte que lo dirigirá a Estados Unidos como un huracán de gran intensidad, podría impactar el estado de Florida la mañana del jueves.
El equipo de Meteored seguirá la evolución del futuro huracán Ian.