"Idalia” gira al occidente de Cuba y posteriormente impactará como huracán al oeste de la Florida en Estados Unidos

El ciclón tropical Idalia, se posiciona para ser uno de los más destructivos para el estado de Florida en Estado Unidos, donde podría impactar como huracán mayor.

Son tres los ciclones tropicales que se localizan activos en los trópicos este inicio de semana.
Son tres los ciclones tropicales que se localizan activos en los trópicos este inicio de semana.

Inicia la semana con la vigilancia tropical muy activa debido a la presencia de tres ciclones tropicales, dos en la cuenca del Atlántico y sumado a ello una zona de inestabilidad sobre las islas de Cabo Verde al oeste de África. Por otro lado, tenemos otro ciclón tropical en la cuenca del Pacífico que afortunadamente se aleja y se debilita gradualmente. A continuación te contamos todos los detalles.

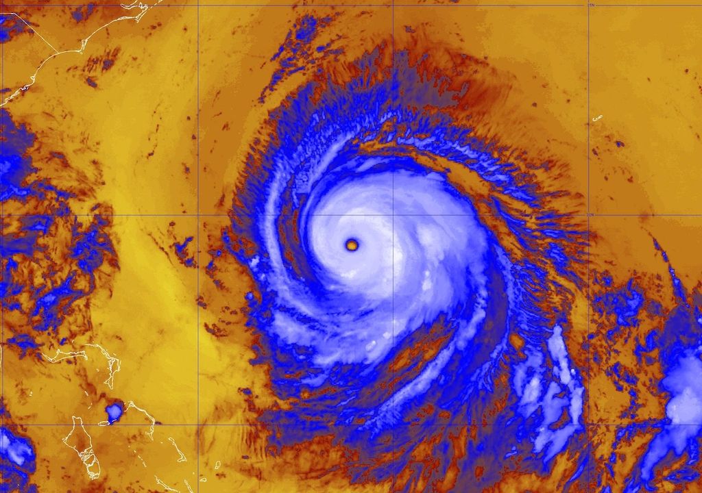
Esta noche "Idalia", se localiza en latitud 21.7 grados norte con la longitud 85.1 grados oeste, se mueve al noreste a 13 km/h; registra vientos máximos sostenidos de 110 km/h y rachas de 130 km/h. Con una presión mínima central de 983 milibares.

De acuerdo con el NHC y el Instituto de Meteorología de la República de Cuba (INSMET), se localiza aproximadamente a 45 kilómetros al sur-suroeste del Cabo de San Antonio en la provincia de Pinar del Río al oeste de Cuba y a 400 kilómetros al suroeste de las islas de Tortugas de Secas, Florida al suroeste de EE. UU.

Se prevé que, las lluvias sean puntuales torrenciales de hasta 250 mm mantienen afectando la mitad occidental de Cuba, con las áreas de mayor intensidad sobre Pinar del Río, Artemisa y el municipio especial Isla de la Juventud.

“Idalia" se localiza muy cerca de costa, aproximadamente a 45 kilómetros al sur-suroeste del Cabo de San Antonio en la provincia de Pinar del Río al oeste de Cuba.
“Idalia" se localiza muy cerca de costa, aproximadamente a 45 kilómetros al sur-suroeste del Cabo de San Antonio en la provincia de Pinar del Río al oeste de Cuba.

Respecto a los vientos, en las próximas 24 horas soplarán vientos del sudeste al sur entre 20 y 35 kilómetros por hora en occidente y centro, entre 65 y 80 kilómetros por hora en Pinar del Río, con rachas superiores, además de la posible formación de trombas marinas en costas del occidente de Cuba.

También se tendrá el registro de fuertes marejadas ciclónicas en el sur de Pinar del Río e Isla de la Juventud con inundaciones costeras de ligeras a moderadas. El oleaje podría rondar entre los 2 a 4 metros de altura para las regiones costeras mencionadas.

Pronóstico de trayectoria de "Idalia"

Se prevé que "Idalia" incremente su intensidad como huracán las próximas horas; además de que, probablemente impacte en la costa oeste de Cuba el lunes por la tarde noche; posteriormente incrementará su nivel a huracán categoría 1, durante la mañana del día martes; después se espera que el miércoles por la mañana impacte en costas del este de Florida en EE. UU. La intensificación será derivado de que ingrese hacia aguas más cálidas.

En el pronóstico a 72 horas se prevé que pase muy cerca de tierra como huracán pasando muy cerca de la costa oeste de Cuba y acercándose a la costa oeste- noroeste de la Florida, durante ese trayecto podría alcanzar una categoría como huracán mayor (categoría 4 o mayor que 5).

Mientras conserva un desplazamiento hacia el norte. De acuerdo con los análisis meteorológicos efectuados por el equipo de Meteored, dejará lluvias torrenciales y extraordinarias en el occidente de Cuba y en todo el estado de Florida y parte del sureste de Estados Unidos.

Las precipitaciones constantes podrán originar inundaciones repentinas, desbordamientos de cuerpos de agua y las fuertes rafagas podrían arrancar espectaculares, cableado eléctrico, ramas secas y levantar objetos para lanzarlos como proyectiles. Por lo que, recomendamos extremar precauciones, resguardarse y tratar de no salir durante una tormenta a menos de que sea necesario.

De acuerdo con el NHC el huracán mayor "Franklin", se localiza aproximadamente a 710 kilómetros al oeste-suroeste de Bermudas y avanza hacia el norte.
De acuerdo con el NHC el huracán mayor "Franklin", se localiza aproximadamente a 710 kilómetros al oeste-suroeste de Bermudas y avanza hacia el norte.

Huracán mayor Franklin pasará muy cerca de las islas de Bermudas

Esta noche "Franklin" es categoría 4, clasificado como huracán mayor, se localiza en latitud 29.0 grados norte con la longitud 71.1 grados oeste, se mueve al nor-noroeste a 15 km/h; registra vientos máximos sostenidos de 240 km/h y rachas de 260 km/h. Con una presión mínima central de 926 milibares.

Pronóstico de trayectoria de "Franklin"

El huracán "Franklin" se mantendrá como huracán mayor durante hasta el día jueves, posteriormente irá perdiendo intensidad. En el pronóstico a 48 horas se prevé que pase muy cerca de tierra, como huracán mayor en la costa oeste y norte de las islas de las Bermudas. Mientras que mantiene un desplazamiento hacia el nor-noreste.

De acuerdo con los análisis meteorológicos efectuados por el equipo de Meteored, dejará lluvias torrenciales superiores a 250 mm sobre Bermuda entre el martes y miércoles.

Las precipitaciones constantes podrán originar inundaciones repentinas, desbordamientos de cuerpos de agua y las fuertes ráfagas podrían arrancar espectaculares, cableado eléctrico, ramas secas y levantar objetos para lanzarlos como proyectiles. Por lo que, recomendamos extremar precauciones, resguardarse y tratar de no salir durante una tormenta a menos de que sea necesario.

Se prevé que durante los próximos días "Irwin" podría disminuir su intensidad a depresión tropical. Hasta el momento no causa ningún riesgo en costas y avanza hacia el oeste
Se prevé que durante los próximos días "Irwin" podría disminuir su intensidad a depresión tropical. Hasta el momento no causa ningún riesgo en costas y avanza hacia el oeste


Tormenta tropical Irwin en el Pacífico Oriental

Esta noche "Irwin", se localiza en latitud 18.6 grados norte con la longitud 124.2 grados oeste, se mueve al oeste-noroeste a 17 km/h; registra vientos máximos sostenidos de 65 km/h y rachas de 85 km/h. Con una presión mínima central de 998 milibares.

De acuerdo con el NHC y la CONAGUA/SMNMx, se localiza aproximadamente a 1,560 km al oeste-suroeste de Cabo San Lucas en Baja California Sur.

Zona de inestabilidad en el Atlántico tropical

Una zona de inestabilidad está localizada sobre las islas de Cabo Verde, está en la región tropical-este del Atlántico, tiene una posibilidad del 50% para formación ciclónica en los 7 próximos días, por lo que se mantiene en total vigilancia. Causa la presencia de chubascos y lluvias dispersas sobre dichas islas.

Recomendaciones

Recuerda que Meteored cuenta con su sección de avisos meteorológicos donde podrás darle seguimiento a los actuales ciclones tropicales. Durante esta temporada de huracanes que concluye el 30 de noviembre, es importante e indispensable tener una mochila o kit de emergencia, documentos personales a la mano, principalmente si habitas en zonas de riesgo o vulnerable a la presencia de ciclones tropicales de fuerte intensidad.