Sistemas tropicales comunes en la temporada de lluvias sobre México
Entre mayo y noviembre, inciden en México los huracanes (ciclones tropicales) y ondas tropicales, que ocasionan lluvias importantes durante este periodo. ¿Sabes en qué consisten y cómo pueden afectarnos o beneficiarnos?

Conforme las masas frías pierden terreno en México en abril y el aire cálido llega, la circulación de la atmósfera típica de zonas tropicales comienza a dominar la región, favoreciendo grandes zonas inestables con nubes y tormentas donde, si las condiciones son ideales sobre el mar, estos sistemas comienzan a girar.
Seguramente, todos hemos escuchado al menos en las noticias que el huracán "Patricia" afectó Jalisco, o que la tormenta tropical "Carlos" se aproxima a Yucatán, mientras que la onda tropical no. 45 genera intensas lluvias en Guerrero. Estas condiciones son normales y recurrentes durante el verano, las cuales son benéficas para el campo, aunque a veces puede causar efectos negativos.
¿Qué son y cómo se forman los ciclones tropicales?
Sobre el mar, las zonas de inestabilidad donde la nubosidad y las lluvias se agrupan, pueden comenzar a organizarse y presentar una cierta rotación, si las condiciones atmosféricas y oceánicas lo permiten. Si esto sucede, el viento dentro del sistema va intensificándose, mientras que la nubosidad se muestra de forma más circular, siendo probable el desarrollo de un ciclón tropical.
La NOAA (Administración Oceánica y Atmosférica Nacional) lo define como una zona de baja presión no frontal sobre mares tropicales o subtropicales con convección organizada y rotando ciclónicamente, es decir, en contra de las manecillas del reloj. Además, se consideran como el término genérico para sus distintas fases.
Existen diferentes categorías para un ciclón tropical basada en la intensidad del viento que vaya adquiriendo, siendo más específico con la escala “Saffir-Simpson”
Depresión tropical: viento sostenido menor a 61 km/h, con extensas zonas de nubes y lluvias.
Tormenta tropical: viento sostenido de 62 a 118 km/h, mientras que la nubosidad y lluvias se organizan en un núcleo central.
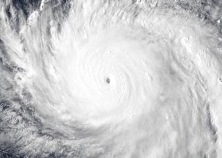
Huracán: viento sostenido mayor a 119 km/h, donde en su centro se comienza a formar una zona en calma, denominada “ojo”.
Dentro de la categoría de huracán, existen 5 clasificaciones, siendo 1 la más débil y 5 la más fuerte de acuerdo con “Saffir-Simpson”:
Huracán 1: 119-152 km/h
Huracán 2: 153-177 km/h
Huracán 3: 178-209 km/h
Huracán 4: 210-249 km/h
Huracán 5: 250 km/h o más

Entre las categorías 3, 4 y 5, se les considera como “huracán mayor” que puede deberse al daño que causan.
Estos sistemas no tienen un periodo de vida promedio, pero si es importante aclarar que mientras estén en mar, pueden seguir intensificándose o al menos organizados, pero al entrar a tierra pierden su principal fuente de energía que es el vapor de agua oceánico.
¿Qué otros sistemas tropicales nos afectan?
Existen otro tipo de perturbaciones, las cuales se originan en su mayoría sobre África, denominadas Ondas Tropicales. El recorrido que tienen es muy extenso, cruzando el Atlántico, Caribe e ingresando al país generalmente por la Península de Yucatán o Chiapas, en el sureste.
Las ondas son naturalmente inestables, las cuales en imágenes de satélite se observa justamente una “onda u ola” de nubes avanzando de este a oeste que al llegar al país, favorece muy fuertes tormentas, que se pueden ver incrementas por la compleja orografía que existe en el centro-sur del país.
Estos sistemas muchas veces son precursoras del desarrollo de algún tipo de ciclón tropical, debido a las ondulaciones que se presentan en su recorrido.
Cualquiera que sea su evolución, los ciclones y ondas son los principales responsables de lluvias constantes (no de todos los días) durante al menos medio año en nuestro país, y especialmente en las zonas del occidente, centro, sur y sureste. Estas precipitaciones regulan las temperaturas, riegan campos y bosques recargando acuíferos y limpiando ciudades.
Cuando los ciclones se mueven hacia el noroeste del país, favorecen lluvias muy fuertes, siendo una zona seca por lo que estos sistemas son la principal fuerte de agua. Debemos estar listos para esta temporada de lluvias, y por tanto, de ciclones tropicales en nuestro país, recordando que inicia el 15 de mayo en el Pacífico y 1 de junio en el Atlántico.
En nuestra sección de Avisos podrás consultar en su momento los detalles sobre estados del país que se pudieran ver afectados.